InicioMx.Otis' se convierte en un huracán categoría 4; podría convertirse en 5

Otis’ se convierte en un huracán categoría 4; podría convertirse en 5

Published on

Noticias Chihuahua:

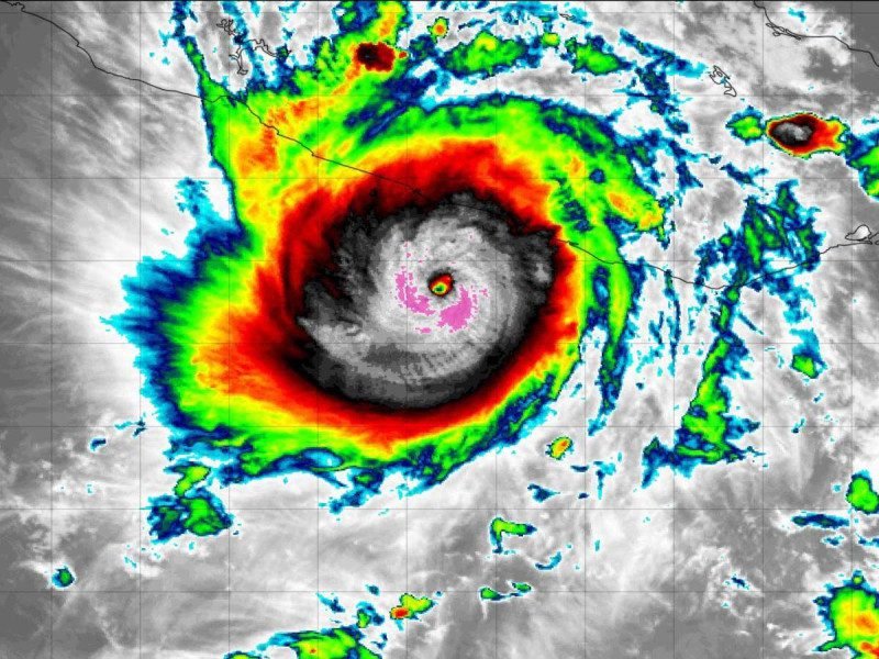
Otis se convirtió en un catastrófico huracán categoría 4 y se ubica a 135 kilómetros al sur de Acapulco, con vientos máximos de 230 km/h y ráfagas de 280 km/h; sigue aquí EN VIVO su trayectoria.

La Comisión Nacional del Agua no descartó en su último reporte que Otis se convierta en huracán categoría 5 en las próximas horas. Su centro se localiza a 130 km al oeste-suroeste de Punta Maldonado, Guerrero y a 135 kilómetros al sur-sureste de Acapulco. Otis presenta vientos máximos sostenidos de 230 km/h, rachas de 280 km7h y desplazamiento hacia el nor-noroeste de 13 km/h.

¿Qué estados afectará ‘Otis’ con sus fuertes lluvias hoy 24 de octubre de 2023?

Las bandas nubosas de Otis ocasionarán lluvias puntuales extraordinarias en Guerrero y muy fuertes a intensas en Oaxaca, además incrementará la probabilidad de chubascos y lluvias puntuales fuertes en Michoacán, Estado de México, Morelos, Puebla y Tlaxcala.

‘Otis’ se convierte en huracaán categoría 3 en menos de una hora

En menos de una hora, Otis se intensificó a huracán categoría 3 y se localiza a 185 kilómetros al sur-sureste de Acapulco con vientos máximos sostenidos de 205 km/h y mantiene un desplazamiento al nor-noroeste a 13 km/h, indicó la Coordinadora Nacional de Protección Civil: sigue aquí su trayectoria EN VIVO.

El Servicio Meteorológico Nacional indicó en conferencia de prensa que Otis impactará como huracán categoría 4 entre Tecpan de Galeana y Acapulco durante la madrugada del miércoles 25 de octubre de 2023.

 

“Se ha intensificado muy rápidamente y se espera que el impacto sea entre las 4 y 6 de la mañana”, indicaron en la conferencia de prensa.

Las autoridades emitieron alerta por huracán desde Punta Maldonado hasta Zihuatanejo, Guerrero, estado donde permanecerá las siguientes 48 horas de tocar tierra, ocasionando lluvias en Guerrero, Oaxaca y Michoacán.

‘Otis’ es huracán categoría 2

El huracán Otis se fortaleció y alcanzó la categoría 2 en la escala de Saffir-Simpson la tarde este martes 24 de octubre de 2023 mientras sigue acercándose a Guerrero y podría alcanzar el nivel 3 en las próximas horas, por lo que autoridades del estado determinaron la suspensión de clases; sigue AQUÍ su trayectoria EN VIVO.

Otis presenta vientos máximos sostenidos de 175 kilómetros por hora, rachas de 215 kilómetros por hora y se mueve al nor-noroeste a 11 kilómetros por hora. Actualmente se ubica a 170 kilómetros al suoreste de Punta Maldonado, Guerrero, y a 220 kilómetros al sur-sureste de Acapulco.

Tras el vuelo de un avión cazahuracanes del Centro Nacional de Huracanes de Miami, se determinó que el ciclón se había fortalecido y había pasado a la categoría 2, mientras continúa con su trayectoria hacia costas mexicanas, en específico hacia Guerrero.

Al mediodía de este miércoles Otis pasó de tormenta tropical a huracán de categoría 1 frente a costas mexicanas. Se prevé que el ciclón tropical impacte Guerrero la madrugada del miércoles entre Acapulco y Coyuca de Benítez.

Hay zona de prevención por efectos de huracán desde Punta Maldonado hasta Zihuatanejo, Guerrero, y zona de vigilancia por efectos de huracán desde Lagunas de Chacahua, Oaxaca, hasta Punta Maldonado, Guerrero.

Además, hay zona de prevención por efectos de tormenta tropical desde Lagunas de Chacahua, Oaxaca, hasta Punta Maldonado, Guerrero.

Suspenden clases en Guerrero por huracán Otis

Ante la aproximación del huracán Otis, el gobierno de Guerrero determinó la suspensión de clases a partir de hoy, a fin de salvaguardar la integridad de la comunidad estudiantil, de profesores y administrativos.

La suspensión de clases aplica desde este martes para el turno vespertino para todos los niveles educativos de planteles públicos como privados en los municipios de las regiones de Acapulco y la Costa Chica, mientras que este miércoles 25 de octubre de 2023, cuando el huracán tocará tierra, la medida aplicará en ambos turnos de todos los municipios del estado.

Estados afectados por la tormenta Otis

El huracán Otis y sus extensas bandas nubosas provocarán lluvias de diversas intensidades en al menos siete estados del país. Las entidades afectadas son:

Lluvias puntuales torrenciales

  • Guerrero

Lluvias intensas

  • Oaxaca

Lluvias fuertes

  • Edomex
  • Morelos
  • Puebla

Chubascos

  • Michoacán
  • CDMX

Hay estrecha vigilancia por su aproximación a las costas de Oaxaca y Guerrero; se prevén rachas de viento de 120 a 150 kilómetros por hora y oleaje de 5 a 7 metros de altura en costas de Guerrero y Oaxaca.

Noticias Chihuahua

spot_img
spot_img
spot_img
spot_img

Últimas Noticias

El estado de Guerrero enfrenta nuevamente una fuerte crisis de violencia tras recientes ataques...

Envía Maru mensaje tras acusaciones de Morena en Chihuahua

Hola. Hoy, quiero hablarles como siempre lo he hecho: con la franqueza que nos...

Caso Chihuahua y presión federal elevan tensión política y judicial

El llamado “Caso Chihuahua” volvió a ocupar titulares este 12 de mayo de 2026...

Indios de Juárez siempre tendrán el apoyo de la afición, Pérez Cuéllar

La afición juarense respaldará en todo momento a los Indios de Juárez de beisbol,...

Tenemos más relacionado

El estado de Guerrero enfrenta nuevamente una fuerte crisis de violencia tras recientes ataques...

Envía Maru mensaje tras acusaciones de Morena en Chihuahua

Hola. Hoy, quiero hablarles como siempre lo he hecho: con la franqueza que nos...

Caso Chihuahua y presión federal elevan tensión política y judicial

El llamado “Caso Chihuahua” volvió a ocupar titulares este 12 de mayo de 2026...
Social Media Auto Publish Powered By : XYZScripts.com